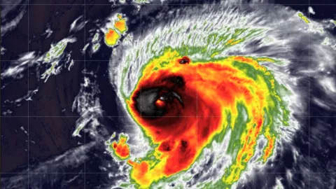
El Centro Nacional de Huracanes (NHC, por sus siglas en inglés) de Estados Unidos acaba de confirmar que el huracán "Leslie" ahora es categoría 2 y podría aumentar su intensad. Esto sucede después de que apenas este martes "Leslie" se intensificara a categoría 1, aunque según el Servicio Meteorológico Nacional (SMN), debido a su trayectoria, este fenómeno no representa un peligro para el país.
Hurricane #Leslie Advisory 31: Leslie Now a Category 2 Hurricane and Could Make a Run At Major Hurricane Intensity. https://t.co/tW4KeGe9uJ
— National Hurricane Center (@NHC_Atlantic) October 10, 2024
2 huracanes en el Atlántico: Milton y Leslie
Actualmente, en el océano Atlántico se encuentran activos dos huracanes, "Milton" y "Leslie", sin embargo, sus trayectorias son diferentes. Mientras "Milton" avanzó por el Golfo de México en dirección a Florida, pasando por la Península de Yucatán, "Leslie" pasó a 4 mil 200 kilómetros de Quintana Roo y avanzó hacia el centro del Atlántico, alejándose del territorio nacional.
Por el momento, "Milton" está azotando la península de Florida en Estados Unidos, causando fuertes lluvias y vientos intensos durante la noche de este miércoles 9 de octubre. El huracán llegó como categoría 3 y se espera se mantenga así hasta que cruce totalmente dicho territorio.

¿Cuántos huracanes faltan en este año?
El Servicio Meteorológico Nacional (SMN) prevé que para la Temporada de Ciclones Tropicales 2024, que termina el 30 de noviembre, en el océano Pacífico se generen entre 15 y 18 ciclones, mientras que en el océano Atlántico sean entre 20 y 23. Hasta el momento, en el Atlántico se han formado 13 ciclones, siendo "Leslie" y "Milton" los dos últimos, por lo que faltarían 10 aproximadamente por formarse en este lado del país.
Por su parte, en el océano Pacífico, se han desarrollado 10 huracanes hasta el momento, por lo que en estos dos meses que faltan podrían formarse entre 5 y 8 ciclones más. Los últimos fueron "Ileana" Y "John", y este último causó estragos en Guerrero y Oaxaca, con fuertes lluvias y vientos que causaron varias inundaciones que afectaron a miles de personas.
