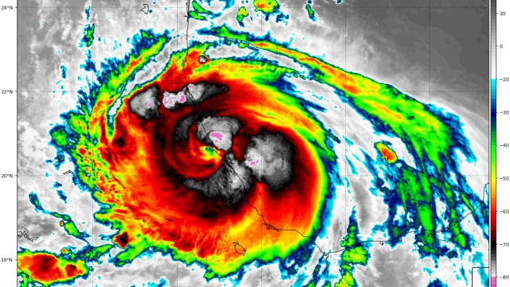
A las 12:30 horas, tiempo del centro de México, el centro de Grace —huracán categoría 3 en la escala de Saffir-Simpson— tocó tierra al norte de Tecolutla, Veracruz, con vientos máximos sostenidos de 205 kilómetros por hora (km/h) y rachas de 240 km/h.
El #HuracanGrace provoca lluvias intensas en #Nautla #Veracruz desde el lugar de los Hechos @Lucero_Rdz_Mx pic.twitter.com/Gq0tCt9zOf
— Azteca Noticias (@AztecaNoticias) August 21, 2021
Actualmente, se localiza en tierra a 50 kilómetros (km) sur-sureste de Tuxpan, Veracruz, y a 185 km al nor-noreste de El Puerto de Veracruz, además mantiene su desplazamiento hacia el oeste a 17 km/h.
Mantendrá el pronóstico de lluvias puntuales torrenciales (de 150.1 a 250 milímetros [mm]) en Puebla y Veracruz; intensas (de 75.1 a 150 mm) en localidades de Chiapas, Hidalgo, Oaxaca, San Luis Potosí, Tamaulipas y Tlaxcala; muy fuertes (de 50.1 a 75 mm) en regiones de Querétaro y Tabasco, y fuertes (de 25 a 50 mm) en la Ciudad de México, Estado de México y Guanajuato.
Prevalecerán rachas de viento de 180 a 200 km/h y oleaje de 6 a 8 metros (m) en la costa norte de Veracruz, y rachas de 100 a 120 km/h con de 3 a 5 m en las costas de Tamaulipas; además de posibles trombas frente a las costas de Tamaulipas y Veracruz.
¿Qué tanto poder tiene un huracán como “Grace”?
El Servicio Meteorológico Nacional (SMN), de la Comisión Nacional del Agua (Conagua), en coordinación con el Centro Nacional de Huracanes de Miami, establece zona de prevención por efectos de huracán desde el Puerto de Veracruz hasta Cabo Rojo, Veracruz, y zona de prevención por efectos de tormenta tropical desde Cabo Rojo, Veracruz, hasta Barra del Tordo, Tamaulipas.
Las lluvias podrían provocar deslaves, incremento en los niveles de ríos y arroyos, y desbordamientos e inundaciones en zonas bajas, por lo que se exhorta a la población de los estados mencionados y a la navegación marítima a atender los avisos del SMN, de la Conagua, y seguir las indicaciones de las autoridades estatales, municipales y de Protección Civil.
Comienzan a intensificarse las lluvias y rachas de viento en la zona Otomi-Tepehua en cuatro horas estima protección civil el efecto de #Grace podría sentirse con más fuerza en este region de #Hidalgo colindante con #Veracruz #AlMomento @AztecaNoticias @Azteca_Hidalgo pic.twitter.com/TQA8lfuVIN
— Leonardo Herrera (@herreleo) August 21, 2021
También se pueden informar sobre las coniciones meteorológicas mediante las páginas de internet www.gob.mx/conagua y https://smn.conagua.gob.mx , en las cuentas de Twitter @conagua_mx y @conagua_clima, y de Facebook www.facebook.com/conaguamx, así como en la aplicación para dispositivos móviles ConaguaClima, donde se puede consultar el pronóstico por municipio.