Logo Inklusion Sitio accesible
LogoFIA.png

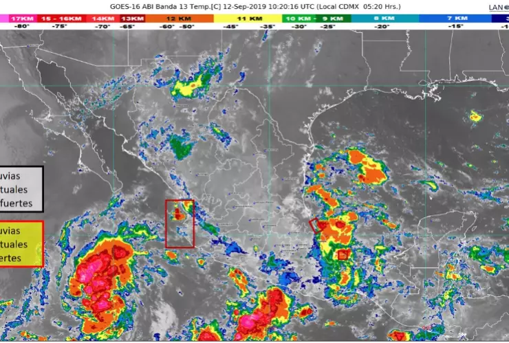
Baja presión en el Pacífico, con 90% de probabilidad para desarrollo ciclónico

Dicho sistema se asocia con la onda tropical número 36 y se localiza al sur de Cabo San Lucas, Baja California Sur

Ciclón al sur de Baja California Sur (BCS)

México, 12 Sep (Notimex).- Una zona de baja presión en el Pacífico mantiene 90 por ciento de probabilidad para desarrollo ciclónico en 48 horas, informó el Servicio Meteorológico Nacional (SMN).

En su más reciente aviso, el SMN indicó que dicho sistema se asocia con la onda tropical número 36 y se localiza al sur de Cabo San Lucas, Baja California Sur.

El centro del ciclón se ubica a 925 kilómetros al sur de Cabo San Lucas.

Su desplazamiento actual es al oeste-noroeste a 20 kilómetros por hora (km/h) con vientos máximos sostenidos de 35 km/h y rachas de 45 km/h.

El sistema refuerza el potencial de lluvias en el país.

Nota