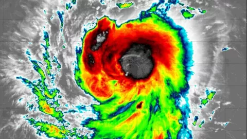
La tarde de este martes 22 de octubre, el Servicio Meteorológico Nacional informó que "Kristy" se intensificó a huracán categoría 1 en la escala Saffir-Simpson, esto tras alcanzar vientos sostenidos de 120 km/h.
Tras confirmarse la noticia "Kristy" se convirtió en el quinto huracán de la temporada del Pacífico Este y se prevé que en las próximas horas continúe su desplazamiento por el oeste de la zona.
#Kristy se intensificó a #Huracán de categoría 1 en la escala #SaffirSimpson, a 650 km al sur-suroeste de Playa Pérula, #Jalisco.
— CONAGUA Clima (@conagua_clima) October 22, 2024
Más información en ⬇️https://t.co/VVYNAkgh8w pic.twitter.com/GiPlQ835gh
¿Cuál es la trayectoria del huracán "Kristy"?
De acuerdo con información de la Conagua, este martes se encuentra a 650 km al sursuroeste de Playa Perula en Jalisco, en el caso de Manzanillo a 655 km.
Además "Kristy" traerá lluvias puntuales en Jalisco, Nayarit, Colima y Michoacán con oleajes que alcanzarán los 3 metros de altura en las costas, por lo que se recomienda atender las indicaciones de las autoridades para evitar algún accidente.
¿Qué acciones toman en los estados por el paso de un huracán en México?
Aunque las acciones varían de acuerdo a la intensidad del fenómeno, usualmente el Ejército, Fuerza Aérea y Guardia Nacional activan los planes DN-III-E y GN-A, en su fase de prevención en los estados que podrían verse afectados. Este consiste en:
• Limitar la movilidad por caminos y carreteras.
• Ir a un refugio temporal en caso de estar en una zona de riesgo.
• Estar pendiente por medios oficiales para obtener información o instrucciones acerca del huracán.
• Mantener la calma y transmitir tranquilidad a la familia.
• Atender a niños, ancianos, enfermos y personas con discapacidades.
• No salir del refugio temporal hasta que las autoridades comuniquen que ya terminó el peligro.
• Alejarse de ventanas para evitar lesiones.
¿Qué ciclones tropicales se esperan en el Pacífico durante 2024?
Tras la llegada de "Kristy", la lista de ciclones tropicales en 2024 continúa y en la lista están:
- Lane
- Miriam
- Norman
- Olivia
- Paul
- Rosa
- Sergio
- Tara
- Vicente
- Willa
- Xavier
- Yolanda
- Zeke
Es importante destacar que cada uno reacciona de manera distinta, en el caso del Pacífico la mayoría se quedó en tormenta tropical, sin embargo "Gilma" y "John" se situaron dentro de la categoría de huracán 3, 4 o 5.
