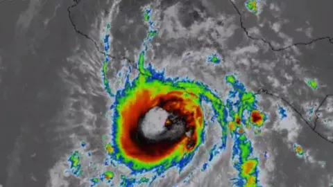
El huracán “Otis” tocó tierra la madrugada de hoy miércoles en Acapulco, Guerrero, como un poderoso ciclón de categoría 5 en la escala de Saffir-Simpson, según informó el Centro Nacional de Huracanes.
El impacto ocurrió a las 12:25 horas (tiempo del centro de México), lo hizo con vientos máximos de 270 km/h y rachas de 330 km/h, indicó el Servicio Meteorológico Nacional.
- No te pierdas: VIDEOS: Captan la fuerza del huracán “Otis” al golpear hospitales y hoteles en Acapulco
🚨#ÚLTIMAHORA | El huracán #Otis de categoría 5 tocó tierra en #Acapulco, Guerrero.
— Fuerza Informativa Azteca (@AztecaNoticias) October 25, 2023
Tiene vientos de 270 kilómetros por hora.https://t.co/zWxQTFaXIb pic.twitter.com/1vqglBpM7j
Los cuadrantes peligrosos de “Otis” abarcan los municipios de Acapulco, Coyuca de Benítez y San Marcos; para todo el estado se esperan lluvias extraordinarias, debido al avance sobre tierra de este fenómeno.
La presencia de este huracán en territorio nacional causará lluvias intensas en Oaxaca, y fuertes en Michoacán, Estado de México, Morelos, Puebla y Tlaxcala.
Activan Plan DN-III-E y el Plan Marina ante impacto de “Otis”
Previamente, el presidente Andrés Manuel López Obrador (AMLO) dio a conocer que debido al huracán “Otis” el Gobierno federal puso en marcha el Plan DN-III-E y el Plan Marina en coordinación con el gobierno de Guerrero.
“Acepten trasladarse a refugios, mantenerse en lugares seguros: alejados de ríos, arroyos, barrancas y estén alerta, sin confiarse. Nosotros también estamos pendientes”, añadió el mandatario en su mensaje.
Atento aviso a toda la población de la Costa Grande de Guerrero:
— Andrés Manuel (@lopezobrador_) October 25, 2023
De acuerdo con la información disponible se pronostica que el huracán Otis entrará al territorio con categoría 5 entre Acapulco y Técpan de Galeana de las 4 a las 6 de la mañana.
Están en marcha el Plan… pic.twitter.com/7lRS78fl3r
Huracán “Otis” evolucionó rápidamente en su avance hacia Acapulco
El Centro Nacional de Huracanes informó la tarde de este martes que “Otis” evolucionó a huracán categoría 4 en la escala de Saffir-Simpson, lo que es considerado como “extremadamente peligroso”.
Hurricane #Otis Advisory 11: Otis Rapidly Strengthens Into an Extremely Dangerous Category 4 Hurricane. Now Expected to Be Near Category 5 Intensity At Landfall. https://t.co/Oy8uoeSibM
— NHC Eastern Pacific (@NHC_Pacific) October 24, 2023
La Coordinación Nacional de Protección Civil, anunció alrededor de las 15:00 horas, que el huracán “Otis” había evolucionado a categoría 3 en la escala de Saffir-Simpson.
Ante el inminente impacto en las costas de Acapulco, las autoridades de Guerrero decidieron suspender clases. De igual forma, solicitaron a la población permanecer pendientes de las indicaciones emitidas por Protección Civil.
A las 11:58 horas, “Otis” pasó de tormenta tropical a huracán categoría 1. Se dio a conocer que cambió ligeramente su trayectoria.
A las 06:00 horas, tiempo del centro de México, se encontraba a 175 kilómetros al suroeste de Lagunas de Chacahua, Oaxaca, y a 280 kilómetros al sur-sureste de Acapulco, Guerrero. Presentaba vientos sostenidos de 100 kilómetros por hora, con rachas de 120 kilómetros por hora, y se desplazaba hacia el nor-noroeste a 13 kilómetros por hora.
⚠️#Otis se ha intensificado a #Huracán categoría 3 ⚠️🌀
— Coordinación Nacional de Protección Civil (@CNPC_MX) October 24, 2023
Permanece sobre aguas del Océano Pacífico 🌊, acercándose al estado de Guerrero:
📍A 185 km al sur-sureste de Acapulco.
🌬️Vientos máximos sostenidos de 205 km/h
🌀Desplazamiento al nor-noroeste a 13 km/h@conagua_clima y… pic.twitter.com/FraxmECltu
Sigue la ruta del huracán "Otis" en vivo
A través de este enlace puedes consultar el avance del huracán "Otis" por México completamente en vivo, así como la ruta que se espera que siga durante las siguientes horas y las actualizaciones sobre su intensidad.
Se informó que suspendieron las clases en todo el estado de Guerrero para este miércoles, ante la llegada de "Otis"; el Comité Estatal de PC en Guerrero ya sesiona de forma permanente, así lo dijo la gobernadora del estado de Guerrero, Evelyn Salgado.
🚨 | ¡ALERTA!
— Fuerza Informativa Azteca (@AztecaNoticias) October 24, 2023
"#Otis" se intensificó a #huracán de categoría 1🌀. Se espera que el fenómeno provoque #lluvias intensas, rachas de viento de hasta 100 km/h y oleaje de cinco metros de altura en costas de Guerrero y Oaxaca.
📹 | @Lucero_Rdz_Mx. pic.twitter.com/HRL7ZXWTDp
Las autoridades hicieron un llamado a los turistas y a la navegación marítima que se encuentran en la zona, a extremar precauciones ante las lluvias, viento y oleaje elevado, y a seguir las recomendaciones de Protección Civil.
¿Qué clima tendrá la CDMX y el Edomex con el huracán "Otis"?
Se prevén intervalos de chubascos (5 a 25 mm) en Michoacán y la Ciudad de México. Dichas lluvias a partir de fuertes podrían originar visibilidad reducida, deslaves, encharcamientos o inundaciones, así como incremento en los niveles de ríos y arroyos.
