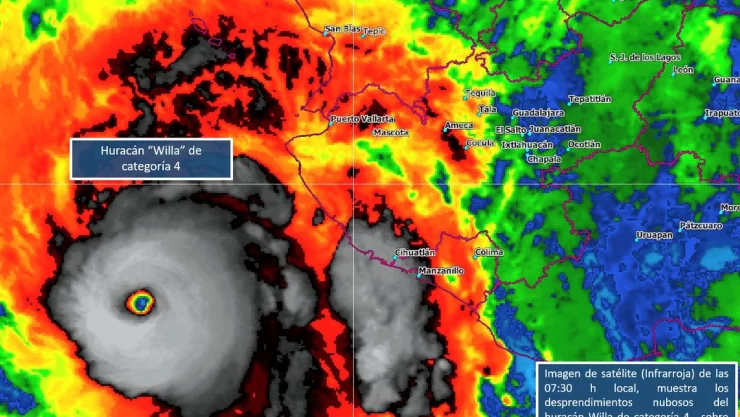
22 de octubre.- El Servicio Meteorológico Nacional (SMN) reportó que el huracán Willa categoría 4 continuará acercándose este lunes a las costas de Jalisco y Nayarit, mientras el frente frío número 7 y una masa de aire frío asociada, ocasionarán ambiente muy frío sobre el norte, centro y oriente del país.
Indicó que la amplia circulación del huracán Willa originará lluvias muy fuertes a puntuales intensas sobre el occidente del país, vientos intensos con rachas superiores a 80 kilómetros por hora y oleaje de tres a cinco metros en las costas de Colima, Jalisco, Nayarit y Sinaloa.
En el reporte del organismo dependiente de la Comisión Nacional del Agua (Conagua), también pronosticó que el frente frío 7 generará evento de Norte con rachas superiores a 50 kilómetros por hora en las costas de Tamaulipas, Veracruz, Istmo y Golfo de Tehuantepec.
Mientras que la compacta tormenta tropical Vicente, se ubicará al suroeste de las costas de Guerrero, bordeando la costa de Pacífico Sur Mexicano. Además, la onda tropical (número 42) recorrerá el sureste de México.
El Meteorológico Nacional consideró que los sistemas mencionados en combinación con la abundante entrada de humedad de ambos litorales, provocarán potenciales de lluvias.
